1022 Sylvia Lane, Tampa, FL 33613

$559,000
  • 1022 Sylvia Lane, Tampa, FL 33613 Main Photo

3 Total Photos [Click to View All]

Active
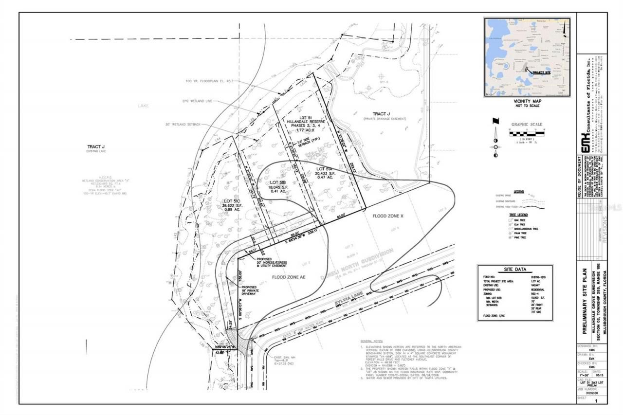
LOT SIZE 1.770 acres MLS#T3531417
STATUSActive PROPERTY TYPELand - Lot/Land SUBDIVISIONHILLANDALE RESERVE

Property Description

This wonderful pond/lakefront 1.77+ acre site is zoned RSC-4 and has the potential to be divided into 3 lots that are along the lake. The site is located off of SylviaLn in Tampa, FL with access to N Blvd and W Fletcher Ave. The property is located along Sylvia Ln in Tampa, but the actual address number has not been assigned. The property is along the lake and in close proximity to W Fletcher Ave and North Boulevard.

1022 Sylvia Lane | MLS# T3531417

This land located at 1022 Sylvia Lane, Tampa, FL 33613 is currently listed for sale with an asking price of $559,000. The property has approximately 1.77 Acres. Search Tampa real estate on www.realtymarkllc.com today.

Property Features

Property Type: Land - Lot/Land
Lot Size: 1.77 Acres
Taxes: $23

Feature Descriptions

Days on Site: 682
Directions: Go west on Fletcher at I-275 interchange approximately 1/2 mile and go north 625 feet on N. Boulevard, then west on Sylvia Lane and the property gate is approximately 1/4 mile on the west side of the road.
Flood Zone Code: X, AE
Home Warranty Y/N: No
Listing Terms: Cash
Lot: Irregular Lot
Lot Dimensions: 1.77
Ownership: Fee Simple
Pets Allowed: Cats OK, Dogs OK
Property Attached Y/N: No
Sewer: Public Sewer
Showing Instructions: Call Listing Agent, Locked Gate
Special Sale Provisions: None
Special View Info: Water
Utilities: Electricity Available, Sewer Available, Water Available
Water: Public
Water Access: Pond
Water Access Y/N: Yes
Waterfront Features: Pond
Water View: Pond
Zoning: RSC-4

Local Schools

High School: Gaither-HB
Middle School: Buchanan-HB
Elementary School: Lake Magdalene-HB

Listed By / Shown By

Listed By

Agency Name: ESHENBAUGH LAND COMPANY
Agency Contact: 813-287-8787

Shown By

Agency Title: RealtyMark
Agency Phone: 888-240-0600

IDX logo

Estimate Your Payment

Estimated Payment

$ 1,409.05 per month $1,244.09 Principal & Interest $1.92 Property Tax $163.04 Homeowner's Insurance

Change Payment Information

%
years/fixed
yearly
yearly (est.)
(Payments are an estimate and may vary by lender)
IDX logo

All commissions are negotiable Disclaimer: All information deemed reliable but not guaranteed. All properties are subject to prior sale, change or withdrawal. Neither listing broker(s) or information provider(s) shall be responsible for any typographical errors, misinformation, misprints and shall be held totally harmless. Listing(s) information is provided for consumers personal, non-commercial use and may not be used for any purpose other than to identify prospective properties consumers may be interested in purchasing. Information on this site was last updated 04/17/2026. The listing information on this page last changed on 04/17/2026. The data relating to real estate for sale on this website comes in part from the Internet Data Exchange program of Delta Media Group MLS (last updated Fri 04/17/2026 12:54:33 AM EST) or Stellar MLS (last updated Fri 04/17/2026 12:44:11 AM EST) or GSMLS (last updated Fri 04/17/2026 12:24:10 AM EST) or Emerald Coast MLS (last updated Fri 04/17/2026 12:05:32 AM EST) or Central Panhandle Association of Realtors (last updated Fri 04/17/2026 12:47:19 AM EST) or Beaches MLS (last updated Fri 04/17/2026 12:47:20 AM EST) or Naples MLS (last updated Thu 04/16/2026 11:41:16 PM EST) or Bright MLS (last updated Thu 04/16/2026 7:53:33 PM EST) or OneKey MLS (last updated Fri 04/17/2026 12:49:37 AM EST). Real estate listings held by brokerage firms other than RealtyMark may be marked with the Internet Data Exchange logo and detailed information about those properties will include the name of the listing broker(s) when required by the MLS. All rights reserved.

mls logo
Listing data and photos distributed by MLSGRID
Member Participants (and their affiliated licensees, if applicable) shall indicate on their websites that IDX information is provided exclusively for consumers’ personal non-commercial use, that it may not be used for any purpose other than to identify prospective properties consumers may be interested in purchasing, that the data is deemed reliable but is not guaranteed by MLS GRID, and that the use of the MLS GRID Data may be subject to an end user license agreement prescribed by the Member Participant’s applicable MLS if any and as amended from time to time. MLS GRID may, at its discretion, require use of other disclaimers as necessary to protect Member Participant, and/or their MLS from liability.
Based on information submitted to the MLS GRID. All data is obtained from various sources and may not have been verified by broker or MLS GRID. Supplied Open House Information is subject to change without notice. All information should be independently reviewed and verified for accuracy. Properties may or may not be listed by the office/agent presenting the information.



Privacy Policy / DMCA Notice / ADA Accessibility

Login to My Homefinder

Pixel